Piła, Dolaszewo

Działka na sprzedaż

Opis nieruchomości

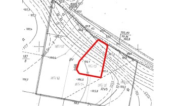
DZIAŁKA BUDOWLANA W DOLASZEWIE
GM. SZYDŁOWO

O POW. 733 m2 ( dz. 187/15)

  
Zgodnie z obowiązującym planem zagospodarowania przestrzennego istnieje możliwość:
- zabudowy mieszkaniowej jednorodzinnej wolnostojącej lub bliźniaczej;
- dopuszcza się lokalizację lokali usługowych nie przekraczających 30% powierzchni całkowitej   budynku;
- dopuszcza się obiekty gospodarcze, garaże wbudowane lub wolnostojące;
- dopuszcza się lokalizację garaży bezpośrednio przy granicy działek budowlanych;
- maksymalna wysokość budynku 2 kondygnacje nadziemne, w tym druga w dachu, nie więcej niż 9,0 m do kalenicy;
- dopuszcza się zastosowanie ścian kolankowych w drugiej kondygnacji budynków;
- kąt nachylenia dachu od 30°do 45°;.

UCHWAŁA NR IV/27/11
Rady Gminy Szydłowo
z dnia 10 lutego 2011 r.

Media:
- wodociąg w drodze
-kanalizacja w drodze
-prąd dociągnięty do sąsiedniej działki (brak skrzynki na przedmiotowej działce).
 
Działka ma kształt wielokąta i położona jest w atrakcyjnym miejscu, na tworzącym się osiedlu nowoczesnych domów.


ZAPRASZAM NA PREZENTACJĘ!

Nota prawna

Opis oferty zawarty na stronie internetowej sporządzany jest na podstawie oględzin nieruchomości oraz informacji uzyskanych od właściciela, może podlegać aktualizacji i nie stanowi oferty określonej w art. 66 i następnych K.C.

Szczegóły oferty

Symbol oferty BNK-GS-2283
Powierzchnia 733,00 m²
Przeznaczenie działki budowlana
Zagosp. działki niezagospodarowana
Kanalizacja miejska

Kalkulator kredytowy

PLN
%
Wysokość raty

Kalkulator kosztów

PLN
PLN
PLN
PLN
PLN
PLN
%
PLN
Podatek od czynności cywilno-prawnych
Taksa notarialna (opłata notarialna)
VAT od taksy notarialnej (opłaty notarialnej)
Wniosek do WKW
VAT od wniosku do WKW
Prowizja agencji nieruchomości
VAT od prowizji agencji nieruchomości
Wypisy aktu notarialnego - około
RAZEM (cena + opłaty)

Napisz do nas

Proszę wypełnić to pole
Proszę wypełnić to pole
Proszę wypełnić to pole
Proszę wypełnić to pole
Trwa wysyłanie...

Ta strona wykorzystuje pliki cookies w celach statystycznych oraz w celu dostosowania naszych serwisów do indywidualnych potrzeb klientów. Zmiany ustawień dotyczących plików cookie można dokonać w dowolnej chwili modyfikując ustawienia przeglądarki. Korzystanie z tej strony bez zmian ustawień dotyczących cookies oznacza, że będą one zapisane w pamięci urządzenia.

rozumiem